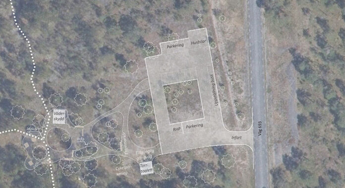
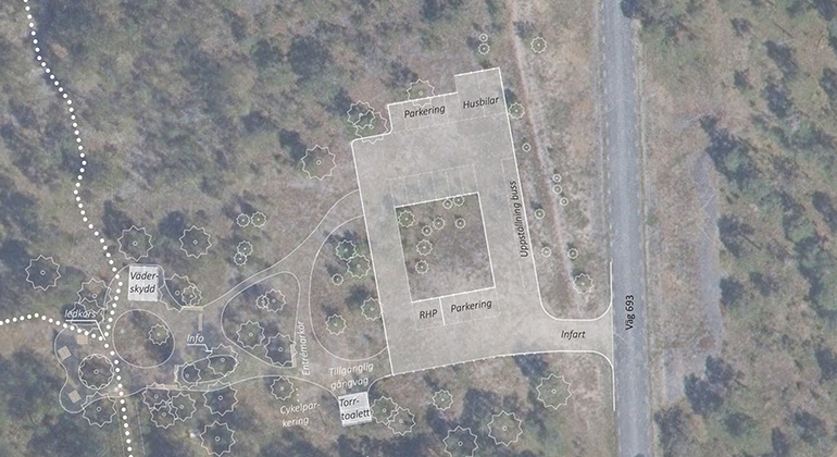
Mölnermyr ligger på vägen mellan Rute och Fleringe, och här ska det till att börja med byggas parkeringsplatser. Parkeringen väntas vara klar till början av november, och kompletteras i vår med väderskydd och en tillgänglighetsanpassad toalett. Från entrén ska det gå flera vandringsleder som tar besökarna in i det planerade nationalparksområdet.
– Vi har redan gjort vissa arbeten i området. En ny spång har anlagts tvärs över myren, och från den har man en spektakulär vy över våtmarken, säger Karolina Johansson, ledare för nationalparksprojektet.
Länsstyrelsen har arrangerat vandringar i området längs de stråk som är tänkta att bli vandringsleder, och på så vis hjälpt till att trampa upp dem. Vissa av lederna är uppmärkta och ska kompletteras med vägvisare. Längs vandringslederna finns även bänkbord utplacerade.
Totalt planeras det för tio olika entrépunkter i Bästeträsks nationalpark. Vid respektive entré kommer det erbjudas varierad service. Många av platserna som pekats ut används redan idag som parkering eller rastplats. Tanken är att entréerna ska ge ett lågmält intryck som smälter in i omgivningen.
———————————————————–
Klicka här – länk till originalinlägget
Källa: Länsstyrelsen Gotland
———————————————————–






































